- 11«
- 1
- 2
- 3
- 4
- 5
- 6
- 7
- 8
- 9
- 10
- 11
- 12
- 13
- 14
- 15
- 16
- 17
- 18
- 19
- 20
- 21
- 22
- 23
- 24
- 25
- 26
- 27
- 28
- 29
- 30
- 31
- »01
o o o o o o o o o

※ ※ ※ 人気ブログランキング 応援よろしくお願いします ※ ※ ※
きゅうりが育っています。
まだ間引いてなかったのでちょっと作業します。

1本に仕立てます。
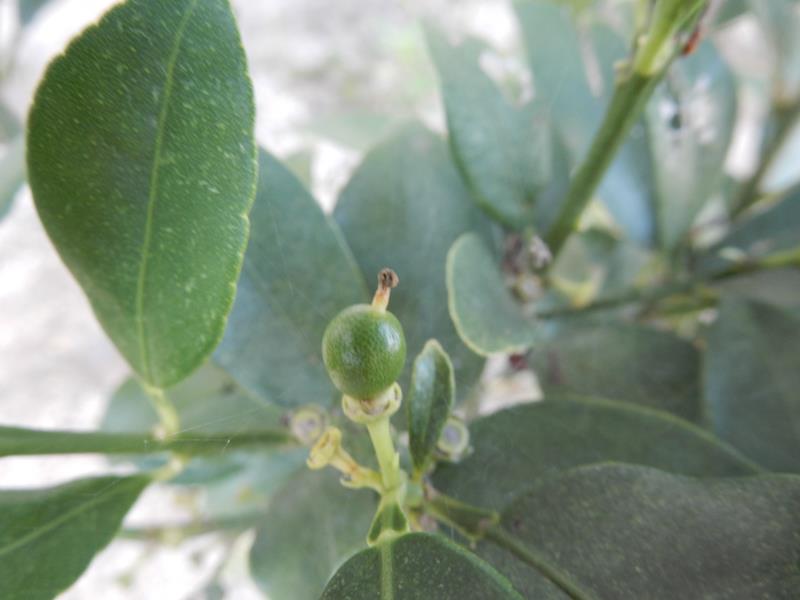
これはデコポン(不知火)
たった1個ですが実がついています。
あたりの葉っぱは虫食いが多いです。
なんとか育てばいいが。
金柑はどうなった?
結構身がついてます。
どの位収穫できるか?
まあ、今年は収穫を諦めているんだけど。
何個かでも出来ると嬉しいな~~
[0回]
この記事のトラックバックURL
この記事へのトラックバック